Dans cette page vous trouverez :
==> cimetières et monuments aux morts
------- les différents cimetières
------- les monuments aux morts et diverses stéles
------- la guerre de 1914-18 véçu par jean Roig



Les cimetières et les monuments aux morts




les différents cimetières

Le premier cimetière du XIIIe, comme nous l'avons vu, a toujours été au pied de la chapelle. Dans les tombes, les morts avaient la tête à l'ouest et les pieds à l'est, enterrés dans un drap. Le second cimetière, mis par dessus le premier, se trouvait aussi sur le côté de la chapelle mais dans un espace plus petit. Ce fut à cause des épidémies de diphtérie (25 morts), de variole (27 morts) et de Choléra (5 morts) qui ont sévi de 1881 à 1884, sur une population de 1246 habitants que comptait la commune de Cabestany et de Saleilles, que fut demandée la création d'un nouveau cimetière : soit pour notre commune 11 morts en quatre années. Une pétition, qui en 1884 circulait pour appuyer cette demande, précisait qu'il n'y avait plus de place dans le vieux cimetière, qu'il fallait déterrer les morts avant qu'ils ne soient poussière ; de plus, le cimetière était au centre du village, près des puits, il y avait donc des risques d'épidémie par contamination de l'eau.

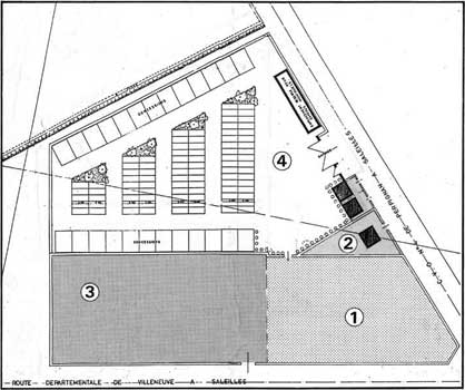
La loi du 24 août 1790 obligeait l'implantation des cimetières à 100 m de tout puits, sources et maisons d'habitation. L'emplacement du nouveau cimetière fut décidé à l'extérieur du village, sur la parcelle de Louis Batlle (plan de masse ) et construit à partir de 1885 (partie 1 du plan de masse) pour une somme de 1565,21 fr. Entre temps des trois caveaux privés furent montés contigus au cimetière (partie 2 ) avant que le déménagement ne soit entrepris à partir du 26 juillet 1893. Même la terre fut transportée : "c'est la terre des morts " nous diront les plus anciens ; c'est la raison pour laquelle la chapelle à ses fondations légèrement déterrées. Le cimetière sera agrandi par l'achat de deux terrains, 7 ares en 1922 et 12 ares supplémentaires en 1924 et imbriqué à la partie existante avec un mur qui ceinturera l'ensemble (partie 3 ). En 1964 les 31 ares 90 du terrain de M. Jonquères d'Oriola (partie 4) compléteront l'ensemble avec un nouveau mur de clôture, celui qui y est actuellement. Le vieux mur intérieur a été percé en deux endroits pour facilité le passage avec cette nouvelle zone. En 1988, un nouveau cimetière est construit sur une parcelle de 2 ha et 52 a, appartenant à Jonquères d'Oriola, au sud-ouest de la commune, près du Réart, le vieux cimetière est saturé.



les monuments aux morts

Nous trouvons à l'intérieur du vieux cimetière un monument à la mémoire des soldats morts à la guerre de 1914-1918 et aux souvenirs de tous ceux qui ne sont jamais revenus :

André Bonecaze, Gaudérique Casenobe, Edouard Fontanel, Michel Gonzalès,
Auguste Huc, Justin Marcero, Sylvain Rabat, Albert Rabat, Joseph Ribes,
François Riera, Désiré Roig, Justin Roig, Joseph Vila.

A la guerre de 1939-1945 deux noms ont été rajouté sur ce monument : Antoine Casenobe et Jean Grill.

Antoine Casenobe est tombé aux commandes de son avion le 24 février 1943. Chevalier de la légion d'honneur à titre posthume, médaille militaire, croix de guerre 39-45, palmes et 8 citations. Né en 1914, il est membre de l'escadrille des diables. Abattant le premier avion ennemi et sept autres, il poursuivit la lutte en Tunisie. Au retour d'une mission pour ne pas se poser sur un aérodrome occupé par l'ennemi, il voulut atterrir sur un terrain de fortune et ce fut le drame. Pilote de chasse dans l'escadrille Lafayette, il est mort pour la France le 26 février 1943 à Alger. Un boulevard à Saleilles porte son nom.

En 2000, le jardin du souvenir est créé sur l'espace vert à côté de l'entrée de la maternelle. Sur la plaque de cette stéle est écrit : "Aux veuves et orphelins victimes des guerres"
Une autre stéle est inaugurée le 25 septembre 2004 qui est la journée nationale en hommage aux Harkis depuis cette année. Sur la plaque nous pouvons lire : "Hommage de la ville de Saleilles aux Harkis et suppétifs d'Algérie 1954 - 1962"


La guerre de 1914-18 véçu par Jean Roig

Jean Roig est né à Saleilles le 23 avril 1894. De la classe 14 , il a été appelé le 3 septembre 1914 sous les drapeaux, au 58 ieme bataillon d'infanterie à Avignon ; il prendra rapidement la direction du front et fera la campagne en France de 1914 à 1916, puis de Salonique jusqu'à la fin de la guerre. Mis en congé illimité le 8 septembre 1919 et reprendra son métier de cordonnier, rue Jules Ferry à Saleilles ; il sera rappelé le 5 mars 1940 et définitivement démobilisé à Perpignan le 29 août 1940
il consignera dans des carnets tout son périple pendant ses cinq années de soldat.

Pour mieux suivre les carnets,
j'ai mis l'historique complet du 58iéme régiment d'infanterie du 1 août 1914 au 12 juin 1919 téléchargeable et imprimable pour les avoir sous la main pendant la lecture des carnets (en fichier .pdf)




accueil du site
saleilles.net